Hurricane Lane
SOS Alert • Hawaii, United States
Top stories
Twitter Results
hurricane lane on Twitter
https://twitter.com/search/hurricane+lane
Search Results
Web results
Hurricane Lane: Live coverage of Hawaii track, path, models, latest ...
https://www.cbsnews.com/.../hawaii-hurricane-lane-category-4-forecast-path-track-liv...
13 hours ago - Hurricane Lane weakened slightly Wednesday to a Category 4 storm, but forecasters warned it remained a threat to the entire Hawaiian island ...Hurricane Lane is heading for Hawaii as a dangerous Category 4 ...
https://www.cnn.com/2018/08/22/us/hurricane-lane-hawaii-wxc/index.html
5 hours ago - Hurricane Lane has weakened to a Category 4 storm, though it is forecast to remain a dangerous hurricane as it draws closer to the Hawaiian ...'Life-threatening' Hurricane Lane on course for overnight collision with ...
https://www.nbcnews.com/.../life-threatening-hurricane-lane-course-overnight-collisio...
7 hours ago - The category 4 storm could turn out to be the strongest hurricane to hit the islands since Iniki killed six people in 1992.Unable to evacuate, Hawaii residents prepare for category 4 Hurricane Lane
Updated Posted
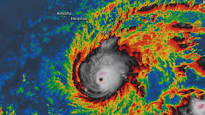
HONOLULU -- Hawaii residents emptied store shelves Wednesday, claimed the last sheets of plywood to board up windows and drained gas pumps as Hurricane Lane churned toward the state.
The category 4 storm could slam into the islands Thursday with winds exceeding 100 mph (161 kph), making it the most powerful storm to hit Hawaii since Hurricane Iniki in 1992.
Unlike Florida or Texas, where residents can get in their cars and drive hundreds of miles to safety, people in Hawaii are confined to the islands and can't outrun the powerful winds and driving rain.
Instead, they must stay put and make sure they have enough supplies to outlast prolonged power outages and other potential emergencies.
"Everyone is starting to buckle down at this point," said Christyl Nagao of Kauai. "Our families are here. We have businesses and this and that. You just have to man your fort and hold on tight."
Living in an isolated island state also means the possibility that essential goods can't be shipped to Hawaii if the storm shuts down ports.
"You're stuck here and resources might not get here in time," Nagao said.
The National Weather Service said Lane is expected to make a gradual turn toward the northwest Wednesday, followed by a more northward motion into the islands on Thursday.
"The center of Lane will move very close to or over the main Hawaiian Islands from Thursday through Saturday," the weather service said.
The Big Island was already starting to see Lane's first effects Wednesday, Gov. David Ige said at a news conference.
The hurricane's outer rain bands were bringing showers to some parts of the island, said Matt Foster, a meteorologist with the National Weather Service.
The eastern side of the island picked up nearly 3 inches (7.62 centimeters) of rain in three hours, while there was light rain in other areas, Foster said.
"Heavy rain in Hilo right now," Hawaii County Managing Director Wil Okabe said of the east side town. But on the west side, "nothing. It's a nice day."
Public schools were closed for the rest of the week and local government workers were told to stay home unless they're essential employees.
Shelters were being readied to open on Oahu, Maui, Molokai and Lanai. Officials said they would open shelters on other islands when needed. Officials were also working to help Hawaii's sizeable homeless population, many of whom live near beaches and streams that could flood.
Maui County officials warned that those needing to use Molokai's shelter should get there soon because of concerns that high surf could make the main highway on the south coast of the island impassable.
Hawaii Emergency Management Agency Administrator Tom Travis said there's not enough shelter space statewide. He advised those who are not in flood zones to stay home.
Many residents were trying to reinforce older homes made with single-wall construction.
"We're planning on boarding up all our windows and sliding doors," Napua Puaoi of Wailuku, Maui, said after buying 16 pieces of plywood from Home Depot. "As soon as my husband comes home -- he has all the power tools."
Molokai real estate agent Pearl Hodgins said she expected the island's two stores to soon run out of bottled water and batteries.
Melanie Davis, who lives in a suburb outside Honolulu, said she was gathering canned food and baby formula.
"We're getting some bags of rice and of course, some Spam," she said of the canned lunch meat that's popular in Hawaii.
She was organizing important documents into a folder -- birth and marriage certificates, Social Security cards, insurance paperwork -- and making sure her three children, all under 4, have flotation devices such as swimming vests -- "just in case."
Meteorologist Chevy Chevalier said Lane may drop to a Category 3 by Thursday afternoon but that would still be a major hurricane.
"We expect it to gradually weaken as it gets closer to the islands," Chevalier said. "That being said, on our current forecast, as of the afternoon on Thursday, we still have it as a major hurricane."
Puaoi said Home Depot opened at 6 a.m., and employees reported there was already a line around the building.
"We are fully stocked," she said. "We have about nine cases of water because we're having family stay with us as well, so one case per person."
The U.S. Navy was moving its ships and submarines out of Hawaii. All vessels not currently undergoing maintenance were being positioned to help respond after the storm, if needed.
Navy aircraft will be kept in hangars or flown to other airfields to avoid the storm.
The central Pacific gets fewer hurricanes than other regions, with about only four or five named storms a year. Hawaii rarely gets hit. The last major storm to hit was Iniki in 1992. Others have come close in recent years.
Puaoi was 12 when Iniki hit Hawaii.
"When it did happen, I just remember, pandemonium, it was all out craziness," she said.
--By Jennifer Sinco Kelleher


No comments:
Post a Comment